Antecedentes generales del paciente:
Felino hembra, entera, DSH, 1 año de edad, peso 3 Kg. Test FeLV negativo, vacuna Triple y antirrábica al día. Desparasitada. Dieta comercial pelletizada. Vive en casa con mínimo contacto con otros gatos.
Motivo de consulta
Distress respiratorio severo
Anamnesis remota
Hace 3 días fué llevada a otra clínica veterinaria donde se le diagnosticó neumonia. Quedó con tratamiento ambulatorio con Amoxicilina 20 mg/Kg cada 12 horas y Salbutamol 1 puff cada 12 horas.
Ananmnesis actual
Distress respiratorio en aumento que cede momentaneamente a la inhalación con Salbutamol. Anorexia selectiva hace 3 días, reulle a caricias y permanece escondida.
Examen clínico
Peso 3 Kg, Temperatura 37,9ºc; mucosas pálidas, TLLC 2 segundos; 8% deshidratación; posición ortopnéica; disnea mixta y respiración asincrónica. Condición corporal 2,5 de 5. A la auscultación se detecta un soplo 3/6 sistólico y eventuales arritmias con presencia de tercer tono cardiaco de galope.
La paciente fue hospitalizada con fluidoterapia (NaCL 0,9%), aminofilina 10 mg/Kg c/12 hrs EV, dexametasona 1 mg/Kg; cefradina 20 mg/Kg EV cada 8 hrs, metronidazol 7.5 mg/Kg cada 12 hrs EV lento, Tiamina 30 mg IM y Ketamina a dosis/efecto para minimizar el estres.
Se mantuvo en incubadora (foto Nº1) con oxigenoterapia, monitoreo ECG y sondaje urinario.

Foto Nº 1
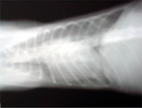
El informe radiográfico de»Blanquita» concluye neumonía intersticial y cardiomegalia de predominio izquierdo (foto Nº 2 y 3) También se le había realizado previamente una ecografía abdominal concluyendo nefropatía glomerular infiltrativa bilateral.
Debido al rápido progreso de la signología, se le repitieron las imágenes y además se realizó una ecocardiografía Doppler (fotos 4,5, 6 y 7).

Foto Nº 2

Foto Nº 3

Foto Nº 4

Foto Nº 5

Foto Nº6

Foto Nº7
Diagnóstico
La ecocardiografía/doppler fué determinante; se evidenciaron vegetaciones en el endocardio del ventrículo izquierdo, principalmente a la salida de la aorta, y en la válvula mitral. La fracción de acortamiento se encontraba en el límite inferior haciendo suponer una cardiomiopatía dilatada.
En la ecografía abdominal se reitera la nefropatía bilateral con la existencia de relación cortico-medular disminuída. Como hallazgo se detecta liquido sanguinolento libre en abdomen. Se punciona la cavidad abdominal extrayendo 11 ml de liquido sanguinolento denso y celular. Al frotis se observan glóbulos rojos en su mayoría.
Además se realiza un hematocrito rápido que resultó ser 11%.
Se informa al dueño sobre la necesidad de realizar transfusión sanguínea e intentar obtener muestras para hemocultivo.
En las siguientes 12 horas el paciente respondió favorablemente, mejorando algunos valores del examen físico, incluso manifestó apetito al ofrecerle atún. Se agregó Ampicilina EV y Enalapril P.O. Tras 1 día de hospitalización comenzó a disminuir su nivel de conciencia y fueron exacerbándose sus fallas multiorgánicas. Finalmente fallece luego de 2 paros cardiorespiratorios.
ENDOCARDITIS INFECCIOSA (Bacteriana)
La endocarditis infecciosa o bacteriana es la infección del endocardio valvular o mural. Las válvulas mitral y aórtica son los lugares más frecuentes de infección cardíaca en el perro y el gato. El establecimiento de una infección cardíaca precisa de una puerta de entrada bacteriana a la circulación, bacteremia subsiguiente y colonización del endocardio (esquema Nº1)

Esquema Nº1
Etiología
Se han identificado un grupo diverso de bacterias patógenas, como Estreptococos, Estafilococos, Corine bacterias, Escherichia coli, Enterobacter aerogenes y Pseudomonas, Pausterella, Erysipelothrix y Bartonella spp. Muchas de ella son habitantes normales de la piel, cavidad oral, aparato respiratorio e intestinal.
Las bacterias pueden penetrar a la circulación a través de heridas externas, infecciones establecidas e intervenciones quirúrgicas y médicas invasivas; sin embargo en muchos casos no existe evidencia de estas fuentes de ingreso al organismo. La endocarditis puede también ser secuela de artritis sépticas, osteomelitis y catéteres infectados.
Los fármacos inmunosupresores predispones a la infección. También lo hace el abuso de antibióticos predisponiendo a infecciones por gérmenes resistentes o virulentos.
Patogénesis
– las bacterias virulentas pueden fijarse a la superficie valvular y ulcerar agresivamente el endocardio, invadiendo el estroma valvular.
– Válvulas previamente enfermas son más sensibles, por ejemplo frente a estenosis subaórticas existe mayor riesgo de endocarditis, probablemente por lesiones en chorro de la válvula aórtica.
– Algunas formas de endocarditis se acompañan de altos títulos de anticuerpos aglutinantes, favoreciendo la acumulación de bacterias y aumentando así el tamaño de la lesión (esquema Nº2).
– Se forman vegetaciones que parecen trombos en la superficie valvular. Varían de color desde rojo amarillento a gris y quedan cubiertas por una fina capa de sangre coagulada.
– Las lesiones generalmente se localizan en la válvula, pero pueden prolongarse hasta el endocardio mural, las cuerdas tendinosas o los senos de vasalva.
– Las infecciones valvulares crónicas se establecen cuando se depositan repetidamente capas de fibrina en el lugar de la infección.
– La deformación de la válvula generalmente produce una insuficiencia valvular. La vegetación exuberante puede formarse de tal modo que produsca una estenosis valvular.
– Partes de la vegetación pueden desprenderse, sembrando las diversas ramas de la circulación sistémica.
– La bacteremia intermitente provoca fiebre persistente.
– La formación de inmunocomplejos es una respuesta importante del huésped; pueden filtrarse a las articulaciones, riñones u otros tejidos, atraen al complemento y leucocitos y provocan gran inflamación en estos tejidos (esquema Nº2).
La endocarditis es más frecuente en perros machos de razas grandes (O.A) y en perros con estenosis subaórtica congénita. Su incidencia en gatos es mucho menor.

Esquema Nº2
Exploración física: no existe ningún hallazgo clínico, aparte de la demostración histológica directa de las bacterias en las lesiones vegetativas, que permita un diagnóstico antemortem definitivo de endocarditis. Los signos clínicos se pueden agrupar en 3 categorías: signos de infección o septicemia, signos de afección cardíaca y signos de complicaciones sistémicas debidas a embolias o fenómenos inmunitarios.
Dentro de las características clínicas más comunes de la endocarditis infecciosa estan las siguientes:
• Fiebre, frecuentemente intermitente o cíclica; depresión, anorexia
• poliartritis (cojera cambiante)
• signos de vasculitis con hemorragias (en piel, ojo y mucosas)
• deficiencias neurológicas multifocales por encefalitis o meningitis
• Signos de insuficiencia cardíaca: suele existir disnea, taquipnea, tos, fatiga, letargo y pérdida de peso. Con frecuencia la EB destruye partes de la válvula, por lo que los soplos cardíacos son principalmente por regurgitación. Un soplo sistólico de eyección frecuentemente acompaña al soplo diastólico de insuficiencia aórtica debido a un aumento de volumen sistólico del VI. Una gran vegetación de la válvula también contribuye a los soplos por estenosis valvular.
Las arritmias son muy comunes, especialmente si existe infección en la válvula aórtica. Los latidos prematuros y los bloqueos auriculoventriculares pueden ser causa de síncope.
La presión de pulso aumenta frente a insuficiencia aórtica, lo que provoca pulsos femorales hipercinéticos con descenso rápido de la presión diastólica.
A partir de la lesión cardíaca pueden presentarse signos francos de insuficiencia cardiaca izquiera o arritmias, especialmente complejos ventriculares prematuros.
En las fases iniciales de la endocarditis los ECG y radiografías toráxicas suelen ser normales. Las arritmias y transtornos de la conducción son más frecuentes en perros.
La ecocardiografía evidencia multiples ecos en las lesiones vegetativas de la(s) válvulas afectadas, generalmente durante la diastole. Se produce una dilatación secundaria de la aurícula, del ventrículo o de ambos, asociadda con la anómala carga de volumen provocada por la válvula regurgitante.
Hematología y Bioquímica sérica
Anemia leve y leococitosis con neutrofilia y monocitosis. Pueden existir fragmentos de glóbulos rojos que evidencian la vasculitis.
Al perfil bioquímico generalmente se evidencian signos de lesión orgánica, debido a la infección, trombosis o infarto y por lo tanto mala perfusión.
Hemocultivos
Dos o más hemocultivos posistivos obtenidos de un paciente con signos clínicos sugerentes de EB. Son muestras de sangre tomadas con intervalos de 1 a 2 hrs y de puntos distintos.
Los cultivos preferentemente deben obtenerse cerca de los brotes febriles.
La mayor dificultad que se nos presenta en la realización de este examen es el elevado volumen de sangre a extraer (5 a 10 ml) en un plazo de 2 a 24 hrs.
Analisis de orina
Cuando existan signos de pielonefritis o glomerulonefritis.
Estudios cardiacos
Pueden corrovorar el diagnóstico e indicar el grado de alteración cardíaca
– La radiografías pueden evidencioar una cardiomegalia, calcificación valvular, ICC o neumonía embólica.
– Los ECG pueden indicar aumento de tamaño de las cavidades o arritmias (frecuentemente extrasístoles ventriculares).
– La ecocardiografía puede demostrar la presencia de vegetaciones y signos de sobrecarga hemodinámica.
– Los estudios con Doppler pueden demostrar tanto la regurgitación valvular anormal como la estenosis.
Otros estudios
Citología y cultivo del Fluido Cerebro espinal y del líquido articular pueden evidenciar signos de inflamación supurativa séptica o aséptica (inmunocomplejos).

Mucha, C.J; Belerenian, G; Artese, J.M; Camacho.
Tratamiento
– Antibióticos bactericidas
– Tratamiento prolongado (2 a 3 meses). Idealmente vía pàrenteral durante 10 días y luego continuar por vía oral durante al menos 6 semanas.
– El tratamiento empírico con antibióticos (previo resultado del hemocultivo) generalmente utiliza penicilinas en altas dosis, combinadas con cefalosporinas.
Pronostico
Depende de la virulencia del microorganismo y de la suseptibilidad a antibióticos disponibles, de la localización y gravedad de la lesión valvular y sus efectos hemodinámicos, además de las complicaciones extracardíacas. En todos los casos el pronóstico es reservado.
Bibliografía
BIRCHARD, S; SHERDING, R. 2000. Manual Clínico De Procedimiento en Pequeñas Especies. Vol 1. 2da ed. 618-622 pp.
DE FRANSESCO, T.C. Infectious Endocarditis. En: Kirk Current Veterinary Theraphy. 13th. Ed. W.B.Saunders. 2000, pp.567-580.
MUCHA, C.J. Capitulo 17: Endocarditis Bacteriana Valvular. En: Belerenian, G.; Mucha, C.J.; Camacho, A.A. Afecciones Cardiovasculares en Pequeños Animales. Ed. Intermedica. 2001, pp. 169-171.
Autor: Dra.Valentina Ibáñez Negrón
Hospital Clínico Veterinario VET’S
Medicina Felina
vetschile@vtr.net
Fuente: Mevepa.cl