Un estudio que comparó el método tradicional americano y un método de la Universidad de Pennsylvania para evaluar la susceptibilidad de un perro a la displasia de cadera ha demostrado que el 80 por ciento de los perros considerados normales por el método tradicional está en realidad en riesgo de desarrollar osteoartritis y displasia de cadera, según el método Penn.

Los resultados indican que la evaluación tradicional de las radiografías que certifican los perros aptos para reproducción subestima su susceptibilidad a la osteoartritis. Los resultados son de importancia clínica para varias poblaciones, especialmente para los veterinarios, los criadores y los propietarios de mascotas.

Los dos métodos de detección de cadera – el estándar de la Orthopedic Foundation for Animals, o modelo de la OFA, y el modelo PennHIP de Penn Vet – se aplicaron a una muestra de 439 perros de más de 2 años. Las cuatro razas más comunes incluidas en el estudio fueron pastores alemanes, labradores, golden retrievers y rottweilers, todas las cuales son comúnmente susceptibles a la displasia de cadera.

Según los investigadores de Pennsylvania, aunque los criadores deben reproducir selectivamente sólo a aquellos perros que tienen caderas calificadas por la OFA como “excelentes”- el rango más alto pero en algunas razas, un grupo de genes muy pequeño, el estudio sugiere que 52 a 100 por ciento de la progenie, dependiendo de la raza, sería susceptible a la displasia de cadera basado en el método de puntuación de Penn Vet.

«Creemos que las tasas más bajas de detección de laxitud de cadera utilizando los métodos de la OFA no son culpa del radiólogo experto en la lectura de la radiografía, sino más bien una deficiencia de la vista radiográfica», dijo el cirujano veterinario Gail Smith, profesor de cirugía ortopédica, autor principal y director del Programa PennHIP. «Creemos que muchos veterinarios no están empleando la mejor prueba para controlar la enfermedad. En muchos aspectos este es un tema de bienestar animal».

Los resultados indican una debilidad en las prácticas actuales de reproducción. Si los criadores siguen seleccionando los candidatos para la cría basándose en los porcentajes tradicionales, entonces, según el estudio de Pennsylvania, seguirán emparejando a perros susceptibles y dejarán de mejorar la calidad de la cadera en las generaciones futuras. A pesar de los programas bien intencionados de detección para reducir la frecuencia de la enfermedad, la displasia de cadera canina continúa teniendo una alta prevalencia en todo el mundo, además no cuenta con estudios que demuestren una reducción significativa en la frecuencia de la enfermedad mediante la selección de masa.

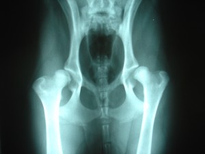
La displasia de cadera canina, o DCC, se define por la presencia radiográfica de laxitud en la articulación de la cadera o osteoartritis con subluxación de la cadera (laxitud) en la edad temprana de la vida. Una enfermedad de desarrollo de herencia compleja, la displasia es una de las enfermedades ortopédicas más comunes en los perros de raza grande y gigante, además causa dolor y pérdida de movilidad.

El método de detección tradicional de la OFA depende en gran medida de las radiografías convencionales de cadera extendida, que según el estudio no proporcionan la información crítica necesaria para evaluar con precisión la laxitud pasiva de la articulación de la cadera y por lo tanto la susceptibilidad a la osteoartritis.

«Sospechamos que todos los sistemas de detección de cadera alrededor del mundo que se basan en la radiografía de cadera extendida tienen similares deficiencias de diagnóstico», dijo Smith. «Esperamos que nuestros resultados motiven a los veterinarios y criadores a considerar este nuevo enfoque».

Para lograr el control genético de la displasia de cadera, según los investigadores, una prueba exacta deberá reducir al mínimo los diagnósticos falsos-negativos que por error permiten la cría de perros que llevan los genes que codifican la displasia. En particular, para una enfermedad de inicio tardío, tal como la displasia de cadera, los perros que quedan en el grupo de genes no sólo deben estar libres de signos evidentes de displasia en el momento de la evaluación (2 años de edad para la OFA), sino que idealmente no deberían ser susceptibles a la osteoartritis por displasia de cadera que se produce más tarde en la vida.

El método PennHIP cuantifica la laxitud de la cadera utilizando el índice de distracción (DI, por sus siglas en inglés), que oscila entre 0,08 a más de 1.5. Los números más pequeños significan mejores caderas. El DI de PennHIP ha demostrado en varios estudios en múltiples instituciones estar estrechamente asociado con el riesgo de osteoartritis y displasia de cadera canina. Se puede medir a las 16 semanas de edad sin daño para el cachorro.

En concreto, el método PennHIP considera un DI de menos de 0.3 como el umbral por debajo del cual hay una riesgo cerca de cero de desarrollar osteoartritis de la cadera en el futuro. Por el contrario, los perros con laxitud de cadera con un DI superior a 0.3 tienen un mayor riesgo de desarrollar osteoartritis de cadera, antes y más gravemente, a medida que aumenta el DI.

Comparando los resultados globales del estudio, el 52 por ciento de los perros cuya cadera entraba en la categoría de «excelente», según la calificación de la OFA, el 82 por ciento en la categoría de “bueno”, según la calificación de la OFA y el 94 por ciento en la categoría “correcta» según la calificación de la OFA estuvieron por encima del umbral PennHIP de 0.3, lo cual indica que todos son susceptibles a osteoartritis por displasia de cadera aunque hayan sido calificados como «normales» por la OFA. Todos los perros considerados «con displasia» tenían una laxitud de cadera por encima del umbral de 0.3 de PennHIP, es decir, hubo un acuerdo entre los dos métodos que muestran displasia de cadera o susceptibilidad a displasia de cadera.

La característica clave del método radiográfico PennHIP es su capacidad de determinar qué perros pueden ser susceptibles a la osteoartritis en el futuro. Dado que los perros son reconocidos como excelentes modelos de osteoartritis de cadera en los seres humanos, los autores están interesados en la posibilidad de aplicar esta tecnología a los seres humanos. Conocer el riesgo que tiene un perro de desarrollar osteoartritis permitiría que los veterinarios recomienden estrategias comprobadas de prevención, como pérdida de peso, para disminuir el riesgo de este trastorno genético. Además, los criadores de perros tienen ahora una medida más informativa para determinar la calidad de cría a fin de reducir el riesgo de osteoartritis de cadera en las futuras generaciones de perros.

«En los seres humanos, con los estudios apropiados evidentemente, es posible que madres de niños susceptibles – y hay muchas – puedan ajustar el estilo de vida de un niño, incluyendo la dieta, para retrasar la aparición o disminuir la severidad de esta condición genética», dijo Smith.

El método PennHIP se usa actualmente en las organizaciones de servicios con perros, tales como la Fuerza Aérea de los EE.UU., el Ejército de los EE.UU. y numerosas escuelas de perros guía. En la actualidad hay aproximadamente 2.000 miembros entrenados y certificados que realizan el procedimiento PennHIP en todo el mundo.

El estudio fue realizado por Smith, Michelle Y. Powers, Georga T. Karbe, Thomas P. Gregor, Pamela McKelvie, William T. N. Culp y Hilary H. Fordyce del Departamento de Estudios Clínicos en Penn Vet. Culp se encuentra actualmente en la Facultad de Medicina Veterinaria de la Universidad de California, Davis.

El estudio fue financiado por la Universidad de Pennsylvania, los Institutos Nacionales de Salud, The Seeing Eye Inc., Morris Animal Foundation y Nestlé Purina Co. El artículo fue publicado en el Journal of the American Veterinary Medical Association.